Главная Случайная страница


Полезное:

Как сделать разговор полезным и приятным Как сделать объемную звезду своими руками Как сделать то, что делать не хочется? Как сделать погремушку Как сделать так чтобы женщины сами знакомились с вами Как сделать идею коммерческой Как сделать хорошую растяжку ног? Как сделать наш разум здоровым? Как сделать, чтобы люди обманывали меньше Вопрос 4. Как сделать так, чтобы вас уважали и ценили? Как сделать лучше себе и другим людям Как сделать свидание интересным?


Категории:

АрхитектураАстрономияБиологияГеографияГеологияИнформатикаИскусствоИсторияКулинарияКультураМаркетингМатематикаМедицинаМенеджментОхрана трудаПравоПроизводствоПсихологияРелигияСоциологияСпортТехникаФизикаФилософияХимияЭкологияЭкономикаЭлектроника






Гистология печени





Внутреннее строение печени взрослого человека подчинено архитектонике кровеносного и желчевыводящего русла.

Основной структурной единицей П. является печеночная долька. Клетки в ней образуют печеночные балки, расположенные по радиусам.

Между балками к центру дольки, где расположена центральная вена, тянутся синусоиды. На периферии дольки из желчных межклеточных капилляров формируются начальные желчные протоки (междольковые). Укрупняясь и сливаясь, они образуют в воротах П. печеночный проток, по которому желчь выходит из печени.

По Элиасу (Н. Elias, 1949), печеночная долька построена из системы печеночных пластинок, сходящихся по направлению к центру дольки и состоящих из одного ряда клеток. Между пластинками расположены лакуны, образующие лабиринт (рис. 5).


Рис. 1—3. Схемы строения печеночной дольки (рис. 3 по Чайлду): 1—ductuli biliferi; 2 — желчные капилляры; 3 — v. centralis; 4 — v. sublobularis; 5 — ductus interlobularis; б —a. interlobularis; 7 —v. interlobularis; 8 — междольковые лимфатические капилляры; 9 — пернваскулярное нервное сплетение; 10 — приток междольковых вен.

Из долек складываются области и сегменты печени, связанные с ветвями воротной вены и печеночных артерий. Различают передний и задний сегменты в веществе правой доли П., медиальный сегмент, занимающий территорию хвостатой и квадратной долей, и латеральный сегмент, соответствующий левой доле. Каждый из главных сегментов делится на два.
П. построена из железистой эпителиальной ткани. Печеночные клетки разделяются желчными капиллярами (рис. 6).

Рис. 5. Микроскопическое строение дольки печени (по Элиасу); справа — портальное пространство для приводящей вены (1), ограниченное lamina limitans; видно отверстие (2) для афферентной венулы, ведущее в лабиринт; слева—лабиринт дольки (3), лакуны которого ограничены печеночными пластинками (laminae hepaticae); лакуны конвергированы к центральному пространству (для центральной вены). Рис. 6. Внутридольковый желчный прекапилляр (1), дренирующий желчь из внутридольковых желчных капилляров (2) (по Элиасу).
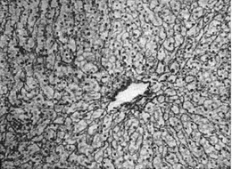
Рис. 7. Решетчатые (аргирофильные) волокна внутри печеночной дольки (импрегнация серебром по Футу).

Ряды печеночных клеток (балки) отделены от синусоидов периваскулярными пространствами Диссе, в просвет которых обращены микроворсинки — отростки печеночных клеток. Другой клеточный элемент П.— звездчатые купферовские клетки; это ретикулярные клетки, выполняющие роль эндотелия внутридольковых синусоидов.
Прослойки фиброзной ткани между дольками П. и паравазальные соединительнотканные тракты составляют строму печени. Здесь много коллагеновых волокон, в то время как в строме дольки представлены главным образом аргирофильные ретикулиновые волокна (рис. 7).








Date: 2015-09-18; view: 926; Нарушение авторских прав



mydocx.ru - 2015-2026 year. (0.363 sec.) Все материалы представленные на сайте исключительно с целью ознакомления читателями и не преследуют коммерческих целей или нарушение авторских прав - Пожаловаться на публикацию