Главная Случайная страница


Полезное:

Как сделать разговор полезным и приятным Как сделать объемную звезду своими руками Как сделать то, что делать не хочется? Как сделать погремушку Как сделать так чтобы женщины сами знакомились с вами Как сделать идею коммерческой Как сделать хорошую растяжку ног? Как сделать наш разум здоровым? Как сделать, чтобы люди обманывали меньше Вопрос 4. Как сделать так, чтобы вас уважали и ценили? Как сделать лучше себе и другим людям Как сделать свидание интересным?


Категории:

АрхитектураАстрономияБиологияГеографияГеологияИнформатикаИскусствоИсторияКулинарияКультураМаркетингМатематикаМедицинаМенеджментОхрана трудаПравоПроизводствоПсихологияРелигияСоциологияСпортТехникаФизикаФилософияХимияЭкологияЭкономикаЭлектроника






Подковырова М.А., Олейник А.М., Матвеева А.А





МИНИСТЕРСТВО ОБРАЗОВАНИЯ И НАУКИ РОССИЙСКОЙ ФЕДЕРАЦИИ

Федеральное государственное бюджетное образовательное учреждение высшего профессионального образования

«ТЮМЕНСКИЙ ГОСУДАРСТВЕННЫЙ НЕФТЕГАЗОВЫЙ УНИВЕРСИТЕТ»

 

Институт геологии и нефтегазодобычи

Кафедра «Кадастр и геоинформационные системы»

 

На правах рукописи

 

СМ. 10.05.15

\

ОРГАНИЗАЦИЯ И ПЛАНИРОВАНИЕ

АУДИТОРНОЙ И САМОСТОЯТЕЛЬНОЙ РАБОТЫ СТУДЕНТОВ

ПО ДИСЦИПЛИНЕ «ОСНОВЫ ГРАДОСТРОИТЕЛЬСТВА И ПЛАНИРОВКА НАСЕЛЕННЫХ МЕСТ»

(для всех форм обучения по направлению подготовки

«Землеустройство и кадастры»)

 

УЧЕБНОЕ ПОСОБИЕ

(Часть 2)

 

Тюмень 2014

УДК 71(075.80

Г

 

 

Рецензенты:

канд. э. наук, профессор, зав. кафедрой земельного кадастра и права ОмГАУ им. П.А. Столыпина Махт В.А.;

ст. преподаватель кафедры земельного кадастра и права ОмГАУ им. П.А. Столыпина Карпова О.А.

 

Подковырова М.А., Олейник А.М., Матвеева А.А.

Г Основы градостроительства и планировка населённых мест: организация и планирование аудиторной и самостоятельной работы студентов(для всех форм обучения по направлению подготовки «Землеустройство и кадастры»): учебн. пособие / М.А. Подковырова, А.М. Олейник, А.А. Матвеева. – Тюмень: ТюмГНГУ, 2014. - 180 с.

 

 

Учебное пособие разработано в соответствии с требованиями: Федерального государственного образовательного стандарта ВПО по направлению подготовки «Землеустройство и кадастры»; основной образовательной программы.

В пособии рассмотрены теоретические основы градостроительства, принципы, стороны и приёмы планировки и застройки сельских населённых пунктов, раскрыто содержание территориального планирования, отражены основные положения концепции устойчивого развития территории поселений.

Учебное пособие предназначено для студентов и магистрантов очной и заочной форм обучения.

 

УДК 71(075.80

 

 

© Тюменский государственный нефтегазовый университет, 2014

© Подковырова М.А., Олейник А.М., Матвеева А.А., 2014

 

ЧАСТЬ 2 МЕТОДИЧЕСКИЕ ОСНОВЫ РАЗРАБОТКИ КУРСОВОГО ПРОЕКТА ПО ПЛАНИРОВКЕ НАСЕЛЁННЫХ МЕСТ

ПЛАНИРОВКА СЕЛЬСКИХ НАСЕЛЁННЫХ МЕСТ

1.1 Задачи, принципы и содержание планировки населённых мест

Под планировкой населенных пунктов понимается процесс архитектурно-пространственной организации населённого пункта, связанный с устройством населенного места с определенной организацией территории и размещением на ней жилых, общественных, производственных и других зданий, сооружений, рекреационных объектов и иных элементов населённого пункта (рисунок 1.1).

 

 

Рисунок 1.1 – Генеральный план н.п. Почтамская станция

(по материалам дипломных разработок Неверовой А.С.)

 

Планировка населенных мест решает комплексную пространственную организацию среды населенного места и отдельных ее элементов: жилых образований, производственных объектов, общественно – деловых комплексов, рекреационных пространств.

Объектом планировки населенных пунктов выступает территория населённых пунктов, часть их территории, объекты недвижимости и их комплексы.

Предметом планировки населенных пунктов, как науки, является изучение закономерностей их формирования и развития, разработка методов, способов и приемов планировки, застройки, благоустройства и реконструкции населённых мест.

Основной задачей планировки населенных мест выступает формирование благоприятной, комфортной среды жизнедеятельности населения, а это значит, комплексного устойчивого развития населённых пунктов.

Как деятельность, планировка населённых мест характеризуется сторонами, к которым следует отнести: экономическую, социальную, экологическую, правовую, инженерно – техническую, технологическую и художественно – эстетическую. Согласно принятой классификации сторон, устанавливаются требования и условия осуществления комплекса градостроительных работ. В основу планировки населенных мест положены принципы, обеспечивающие их стабильное развитие:

- функциональности (взаимосвязь пространственно-планировочных элементов, перспективы устойчивого развития населённого пункта как градостроительной системы и природно-территориального комплекса);

- соответствия (соответствие планируемого объёма строительства, реконструкции и благоустройства перспективам развития территории населённого пункта, например: соответствие проектируемого жилого фонда перспективной численности населения, соответствие вместимости общественно-деловой застройки демографическому составу населения и т.д.);


- комплексности (решение всех градостроительных задач с учётом социальных, экономических, технологических и экологических требований);

- системности (учёт взаимосвязей всех элементов градостроительной системы (функциональных и территориальных зон, опорного улично-дорожного каркаса с жилыми кварталами, экологического каркасов со всеми планировочными элементами населённого пункта).

При подготовке документации по планировке населённых мест разрабатывают проекты: планировки территории и межевания, а также градостроительных планов земельных участков.

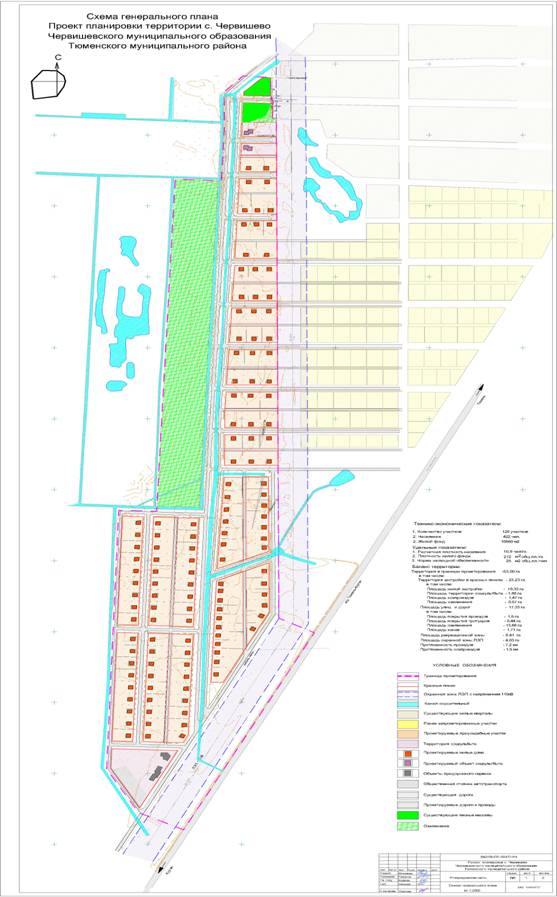
Проект планировки территории подготавливают для выделения элементов планировочной структуры, установления параметров планируемого развития элементов планировочной структуры (рисунок 1.2).

 

Рисунок 1.2 – Схема генерального плана (проект планировки территории с. Червишево)

Рисунок 1.3 – Схема улично-дорожной сети и транспорта (проект планировки территории с. Червишево)

Основная часть проекта планировки состоит из чертежа (чертежей) планировки территории, на которых находят отображение: красных линий кварталов; линий, отображающих дороги, улицы, проезды, линии связи, объекты инженерной и транспортной инфраструктур; границы зон планируемого размещения объектов социально-культурного и коммунально-бытового назначения, иных объектов капитального строительства; положения о размещении объектов капитального строительства, о характеристиках планируемого развития территории (рисунок 1.3).

Материалы по обоснованию проекта планировки территории включают графическую часть и текстовую. Графическая часть содержит:

- схему расположения планировочной структуры;

- схему использования территории в период подготовки проекта планировки территории;

- схему организации улично-дорожной сети;

- схему движения транспорта на соответствующей территории;

- схемы границ территорий объектов культурного наследия (рисунок 1.4);

- схемы границ зон с особыми условиями использования территорий;

-схемы вертикальной планировки и инженерной подготовки территории.

 

 

 

Рисунок 1.4– Схема историко-культурных ограничений (на примере городского землепользования, производственный материал,

масштаб 1:25000)

Таблица 1.1 - Историко-культурные ограничения (г. Тюмень)

 

Условные обозначения Наиболее значимые памятники истории и культуры
 

 

Текстовая часть проекта планировки содержит характеристику и обоснование проектных разработок по определению объёмов планируемого строительства (реконструкции) территории населённого пункта, а также защиты от чрезвычайных природных и техногенных явлений (процессов).

Проекты межевания территории разрабатываются как для застроенных территорий, так и для территорий, подлежащих застройке (в границах элементов планировочной структуры: кварталов, микрорайонов). Проект межевания территории включает чертежи межевания территории, на которых отображают (рисунки 1.5, 1.6):

- красные линии, утверждённые в составе проекта планировки территории;

- линии застройки;


- границы застроенных земельных участков;

- границы формируемых земельных участков, планируемых для предоставления физическим и юридическим лицам для строительства;

- границы земельных участков, предназначенных для размещения объектов капитального строительства федерального, регионального или местного значения;

- границы территорий объектов культурного наследия;

- границы зон с особыми условиями использования территорий;

- границы зон действия публичных сервитутов.

 

 

 

Рисунок 1.5 – Проект межевания территории планировочного микрорайона (производственный материал)

 

 

 

Рисунок 1.6 – Проект межевания территории планировочного квартала (производственный материал, масштаб 1:2000)

 

УСЛОВНЫЕ ОБОЗНАЧЕНИЯ

 

 

Рисунок 1.7 – Условные обозначения к проекту межевания территории планировочного квартала (производственный материал, масштаб 1:2000)

 

 

Таблица 1.2 - Реестр объектов недвижимости планировочного квартала (производственный материал)

 

  Почтовый адрес   Наименование вида пользователя земель   Площадь земельного участка Землепользователь, арендатор, собственник земельного участка   Вид права   Примечание
  ул. Строительная, дом 74 Индивидуальный жилой дом   Белокогова Л.С. муниципальная собственность  
  ул. Строительная, дом 72 Индивидуальный жилой дом   Летунов А.Ф. муниципальная собственность  
…. …. …. …. …. ….  
  ул. Строительная, дом 62 Индивидуальный жилой дом   Браун О.А. аренда  
…. …. …. …. …. ….  
  ул. Солнечная Муниципальный резервный фонд   МО Нефтеюганский район муниципальная собственность Индивидуальный жилой дом (проект)
  ул. Солнечная Внутриквартальный проезд   МО Нефтеюганский район муниципальная собственность  
             
  ул. Солнечная Свято-Троицкий храм   МО Нефтеюганский район муниципальная собственность  
…. …. …. …. …. т.д.  

 

Градостроительные планы земельных участков готовят для застроенных или предназначенных для строительства, реконструкции объектов капитального строительства земельных участков. Градостроительный план земельного участка готовят в составе проекта межевания территории или в виде отдельного документа. В градостроительном плане земельного участка указывают:

- границы земельного участка;

- зоны действия публичных сервитутов;

-линии застройки (минимальные отступы от границ земельного участка в целях определения мест допустимого размещения зданий, строений, сооружений, за пределами которых запрещено строительство зданий, строений, сооружений;


- информацию о градостроительном регламенте;

-о разрешённом использовании земельного участка, требованиях к назначению, параметрам и размещению объекта капитального строительства на указанном земельном участке;

-о расположенных в границах земельного участка объектах капитального строительства, объектах культурного наследия;

-о технических условиях подключения объектов капитального строительства к сетям инженерно-технического обеспечения;

-границы зоны планируемого размещения объектов капитального строительства для государственных и муниципальных нужд.

В состав градостроительного плана земельного участка может быть включена информация о возможном его разделении на несколько земельных участков.

В состав градостроительного плана земельного участка можно включать информацию о возможности его разделения на несколько земельных участков.

В градостроительстве (планировке населённых мест) используются следующие научные методы и приемы: экономико-статистический, монографический, экономико-математический, абстрактно-логический, балансовый, расчетно-вариантный, системный метод, метод системного анализа и кластерного анализа, метод моделирования.

Экономико-статистический метод используется при сборе и изучении фактического материала с применением анализа данных об объекте градостроительной деятельности и кадастра (как приема). В дальнейшем с целью обработки статистических данных и полученной в ходе проведения комплекса работ информации используются такие приемы как: прием аналитических группировок, корреляционно-регрессионного, кластерного анализа.

Монографический метод используется при изучении отдельных типичных явлений (организации, использования и благоустройства территории населённых пунктов), данный метод позволяет дать характеристику землепользования населённого пункта в целом, а также социально-экономической, градостроительной системе, земельно-имущественному и природно-территориальному комплексу. Он включает следующие приёмы:

- сопоставления;

- детализации;

- матричных моделей;

- изучения взаимосвязей с помощью аналитических показателей;

- комплексного анализа;

- выявления резервов для расширения землепользования населённого пункта;

- определение уровня социального и экономического развития исследуемого землепользования (города, сельского населённого пункта).

Экономико-математический метод присущ целому ряду градостроительных разработок в виде физических и математических моделей (алгоритмов). К физическим моделям относятся: сема функционального (территориального) зонирования, генеральный план, опорный улично-дорожный и экологический каркасы, проекты планировки и застройки жилых кварталов, ландшафтно-рекреационных и производственных зон и комплексов и др.

Абстрактно-логический метод используется на уровне приемов анализа, синтеза, дедукции, индукции, аналогии, а также абстрагирования (используется при выявлении градостроительных, экономических и ландшафтно-экологических закономерностей организации использования территории населённого пункта, определении и уточнении ключевых положений и понятий, а также поиска эффективных приёмов архитектурно-пространственной организации территории населённых пунктов и их планировочных элементов с учётом охраны земель).

Балансовый метод используется при предпроектных расчётах (населения) и технико-экономическом обосновании проекта планировки (баланса земель населённого пункта).

Расчетно-вариантный метод характерен для процесса организации планирования и обоснования всех видов градостроительных решений: проектирование и реконструкция зданий, сооружений, комплексов, дорожно-уличной сети.

Системный метод широко используется при анализе явлений и процессов сложных градостроительных систем, в основе которых лежит рассмотрение объекта проектирования как системы. При системном методе осуществляется:

а) выявление зависимости каждого элемента от его места и функций в системе с учетом того, что свойства целого несводимы к сумме свойств его элементов (система архитектурно-планировочной композиции с её элементами);

б) анализ того, насколько поведение системы обусловлено как особенностями ее отдельных элементов, так и свойствами ее структуры (функциональные, технологические, экономические, социальные и экологические связи территориальных зон населённого пункта в целом как системы);

в) исследование механизма взаимодействия системы и среды населённого пункта (установление форм, видов и степени антропогенного воздействия на территории населённого пункта и т.п.);

г) изучение характера иерархичности, присущей данной системе (закономерности формирования конкретного населённого пункта: экономические, ландшафтно-экологические, природно-климатические, социальные (национальные);

д) обеспечение всестороннего многоаспектного описания системы (система расселения, результаты комплекса специальных видов обследования и изысканий; опорные экологический и дорожно-транспортный каркасы; функциональная организация территории населённого пункта и т.д.)

е) рассмотрение системы как динамичной, развивающейся целостности (ключевые стороны формирования и развития населённого пункта устойчивого развития).

Экономико-статистический метод – характеризуется совокупностью приёмов, базирующихся на массивах цифровых данных и используемых для характеристики развития общественных (и иных) явлений (процессов). Приёмы экономико-статистического метода делятся на две группы:

- статистического наблюдения;

- обработки и анализа его результатов (группировка, корреляционный анализ, дисперсионный анализ, факторный анализ).

В градостроительстве широко используется метод многомерной статистики, позволяющий выделить зоны высокой, средней и низкой степеней благоприятности с целью принятия градостроительных решений, сформировать территориальную модель населённого пункта устойчивого развития.

 

СОСТАВ И СОДЕРЖАНИЕ КУРСОВОГО ПРОЕКТА ПО ПЛАНИРОВКЕ (РЕКОНСТРУКЦИИ) НАСЕЛЁННОГО ПУНКТА

Задачи и содержание курсового проекта

Главной задачей курсового проектирования по дисциплине «Основы градостроительства и планировка населённых мест» является закрепление, систематизация и обобщение полученных студентами знаний, выработка навыков комплексного решения конкретных инженерных градостроительных задач, а также освоение производственного цикла разработки проекта планировки (реконструкции) населённого пункта.

Наряду с этим курсовое проектирование напрямую связано с навыками пользования нормативно-законодательной, учебной, научной, специальной и справочной литературой, включая ГОСТы, строительные нормы и правила (СНиП), стандарты предприятий (СП), единые нормы и расценки (ЕНиР), санитарные нормы и правила (СанПиН), типовые и индивидуальные проекты, а также навыки выполнения расчетов, написания и оформления расчётно-пояснительных записок, графической части и обоснования проектных разработок.

Курсовое проектирование при подготовке студентов способствует формированию: общекультурных и профессиональных компетенций.

Эти компетенции содержат следующие аспекты: экономические, правовые, технические, экологические, технологические, социальные, художественно-эстетические применительно к проектируемому объекту.

Это означает, что курсовое проектирование направлено на развитие творческих способностей; развитие технического, научного и критического мышления; воспитание культуры умственного труда; организацию и выполнение задач экспериментальной деятельности; формирование коммуникативных умений и т.д.

Курсовой проект (КП) является разработкой технического, технологического, экономического, социального и экологического решения с обязательной его вариантной проработкой и обоснованием.

Курсовой проект содержит элементы научных исследований, оформленные в самостоятельный раздел НИР или прописанные в целом.

Курсовой проект по дисциплине «Основы градостроительства и планировка населённых мест» имеет следующую структуру:

1. Задание на курсовое проектирование (Приложение 2).

2. Пояснительная записка.

3. Расчётная часть.

4. Графическая часть.

5. Рецензия.

Задание разрабатывается руководителем курсового проектирования. В задании формулируется: название темы, исходная информация (перечень необходимых материалов для разработки КП) и рекомендуемая литература, общая структура курсового проекта, раздел НИР, перечень требуемой графической работы, сроки сдачи КП на проверку и сроки защиты.

Задание выдается каждому студенту, поэтому его содержание имеет элементы вариантности: в исходной информации (объект проектирования), структуре и теме НИР. При выдаче задания ведущим преподавателем устанавливается график разработки проекта с указанием времени выполнения основных этапов проектирования.

Общая структура пояснительной записки имеет следующий вид:

- титульный лист;

- задание на курсовое проектирование;

- содержание;

- реферат;

- введение;

- основная часть (разделы КП);

- заключение;

- список использованной литературы;

- приложение.

Объем пояснительной записки КП не должен превышать 40 страниц.

Текстовая часть КП должна сопровождаться расчетными таблицами, формулами, рисунками (графиками, схемами, моделями, фрагментами проектных разработок).

Графическая часть разрабатывается и оформляется с соблюдением стандартов Единой системы конструкторской документации (ЕСКД), Единой системы технологической документации (ЕСТД), Системы проектной документации для строительства (СПДС) и других нормативных документов, устанавливающих требования к выполнению конкретной документации.

Графическая часть выполняется на одной стороне чертёжной бумаги формата А1 - размер листа 594´841 мм, А2 - 420´594 мм. В обоснованных случаях для отдельных листов допускается применение других форматов (например, А3).

Объем графической части устанавливается заданием на курсовое проектирование и содержит: проектные, технические решения, технологии, конструкции, схемы и т.д.

При выполнении курсового проекта студент проходит три этапа проектных разработок: подготовительный, основной и заключительный.

Подготовительный этап заключается в: обосновании темы КП; оформлении задания на курсовое проектирование; формулировке цели и задач конкретного вида курсового проектирования; подборе и анализе литературных источников; подготовке планово-картографической основы; изучении объекта проектирования.

Основной этап включает: разработку и оформление расчетно-пояснительной записки, представленной основными структурными элементами; разработку и оформление графической части.

Заключительный этап включает: полное завершение КП после проверки ведущим преподавателем и получение допуска к защите, подготовку к защите и саму защиту. Курсовой проект защищается студентами публично: перед комиссией, состоящей не менее чем из 2-х преподавателей кафедры, включая руководителя и студенческую аудиторию.

Требования к оформлению КП такие же, как и требования, предъявляемые к выпускной квалификационной работе [20].

Курсовой проект представляет собой завершенную часть проектного цикла по планировке, застройке и благоустройству населенного пункта или его реконструкции, разработанную на основе индивидуального задания под руководством ведущего преподавателя.

Исходные материалы к разработке проекта выдаются ведущим преподавателем и включают следующее:

- задание на проектирование: природно – климатические, ландшафтно – экологические, экономические и социальные характеристики осваиваемой территории; существующие планировочные элементы территории; параметры и перспективы развития населенного пункта; требования к полноте и детализации курсового проекта;

- план топографической съёмки местности, подлежащей инженерному освоению или съемки реконструируемого посёлка в масштабе 1:2000;

- материалы специальных видов обследования и изысканий: водохозяйственного, геоботанического, почвенного, гидрогеологического, дорожного, социально-экономического обследований и инженерно-геологических изысканий.

Графическая часть проекта планировки включает: генеральный план в масштабе 1:2000, варианты проектных решений по планировке и застройке жилой, производственной и рекреационной зон, опорный план (масштаба 1:2000); фрагменты проектных решений, характеризующие отдельные элементы генерального плана (общественный центр, спортивно-оздоровительная зона, зона рекреации, жилой застройки, архитектурно-планировочной композиции главной улицы, животноводческий комплекс и др.); проектные разработки индивидуального задания (НИР).

Текстовая часть оформляется в виде пояснительной записки общим объёмом 40 стр. Структура пояснительной записки содержит основные разделы по принятой теме курсового проекта, см. Приложение 2.

Расчетная часть оформляется в виде самостоятельного документа – «Рабочей тетради к курсовому проекту по планировке населенных мест» (Приложение 2).

При выполнении всех видов работ по курсовому проектированию используются компьютерные технологии. Требования к оформлению КП соответствуют требованиям написания и разработки технической документации (ВКР) [20].

Ведущим преподавателем устанавливается график разработки и сдачи на проверку всех элементов курсового проекта в соответствии с принятым в ТюмГНГУ «Положением о внутрисеместровой аттестации студентов».

 

1.3 Порядок разработки «Проекта планировки населенного места»

 

Разработка проекта планировки населенных пунктов – это творческий процесс, в котором по принципу от общего к частному решается комплекс взаимосвязанных вопросов по планировке или реконструкции населенного пункта, застройке и благоустройству. Проектная численность населённых пунктов составляет от 900 до 1500 человек.

При разработке курсового проекта студентами выполняются следующие задания:

1. Выполнение подготовительных работ.

2. Разработка проектного задания.

3. Осуществление предпроектных расчетов (определение состава и объёма проектируемых зданий и сооружений).

4. Осуществление общей организации территории населенного пункта (функциональное зонирование).

5. Разработка архитектурно-планировочной композиции селитебной территории.

6. Формирование улично-дорожного каркаса. Проектирование уличной сети.

7. Размещение общественного центра населённого пункта. Планировка общественного центра.

8. Детальная планировка жилых кварталов (с секционной, блокированной и усадебной застройкой).

9. Детальная планировка участков под общественно-деловой застройкой.

10. Детальная планировка рекреационных зон (участков).

11. Размещение производственной зоны и производственных комплексов.

12. Детальная планировка (реконструкция) территории производственных комплексов.

13. Технико-экономическое обоснование проектных разработок по планировке (реконструкции) населённого пункта.

14. Оформление расчётной части.

15. Оформление пояснительной записки.

16. Графическое оформление проекта планировки (реконструкции) населённого пункта.

Рекомендуемая тематика курсового проекта по дисциплине «Основы градостроительства и планировка населённых мест представлена в Приложении 1.

 







Date: 2015-07-22; view: 2062; Нарушение авторских прав



mydocx.ru - 2015-2026 year. (1.287 sec.) Все материалы представленные на сайте исключительно с целью ознакомления читателями и не преследуют коммерческих целей или нарушение авторских прав - Пожаловаться на публикацию