Главная Случайная страница


Полезное:

Как сделать разговор полезным и приятным Как сделать объемную звезду своими руками Как сделать то, что делать не хочется? Как сделать погремушку Как сделать так чтобы женщины сами знакомились с вами Как сделать идею коммерческой Как сделать хорошую растяжку ног? Как сделать наш разум здоровым? Как сделать, чтобы люди обманывали меньше Вопрос 4. Как сделать так, чтобы вас уважали и ценили? Как сделать лучше себе и другим людям Как сделать свидание интересным?


Категории:

АрхитектураАстрономияБиологияГеографияГеологияИнформатикаИскусствоИсторияКулинарияКультураМаркетингМатематикаМедицинаМенеджментОхрана трудаПравоПроизводствоПсихологияРелигияСоциологияСпортТехникаФизикаФилософияХимияЭкологияЭкономикаЭлектроника






Воронец колосистый





Воронец- род многолетних травянистых растений 30-60 см в высоту. В России ареал воронца колосистого ограничивается преимущественно европейской её частью, а также Западной Сибирью. Излюбленные места произрастания- тенистые лиственные и хвойные леса, заросли кустарников. Цветёт в начале лета, соцветием по форме и окраске напоминает бузину. Плоды- черные ягоды, собраны в характерную гроздь.
Воронец ядовит, больше всего- его ягоды и корневище. Сок растения вызывает раздражение и воспаление кожи, а при употреблении ягод в пищу появляются симптомы отравления с тошнотой, рвотой и расстройством дыхания. Серьёзно отравиться ягодами воронца затруднительно, потому что на вкус они очень горькие.
В лесах Восточной и Западной Сибири встречается воронец красный, отличающийся от колосистого цветом плодов. Растение изучено слабо, но известно, что оно также содержит ядовитые вещества .

 

 

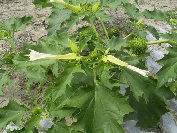
Дурман обыкновенный
Дурман обыкновенный- высокое однолетнее травянистое растение из семейство паслёновые. Предпочитает открытые местности, поля, обочины дорог и т.д. Встречается в некоторых южных областях России. Цветёт в середине лета. Плод- коробочка, покрытая небольшими шипами,

величиной с грецкий орех.
Дурман очень ядовит, наиболее опасны его мелкие чёрные семена. Картина отравления: покраснение лица и шеи, расширение зрачков, сухость во рту, жажда, расстройство речи и глотания, бред и галлюцинации. Далее- потеря ориентации, психическое возбуждение, судороги и потеря сознания.
Своё название растение получило из-за дурманящих, галлюциногенных свойств, известных издревле. Считается, что пифии в Дельфах для вхождения в транс использовали именно дурман.

 

 

Съедобные растения.

 







Date: 2015-06-06; view: 595; Нарушение авторских прав



mydocx.ru - 2015-2026 year. (1.047 sec.) Все материалы представленные на сайте исключительно с целью ознакомления читателями и не преследуют коммерческих целей или нарушение авторских прав - Пожаловаться на публикацию